For Sale

$185,000

HIGHLIGHTS:
  • Active
  • $2,369/month
  • 1 DOM
  • 2 SqFT
Description

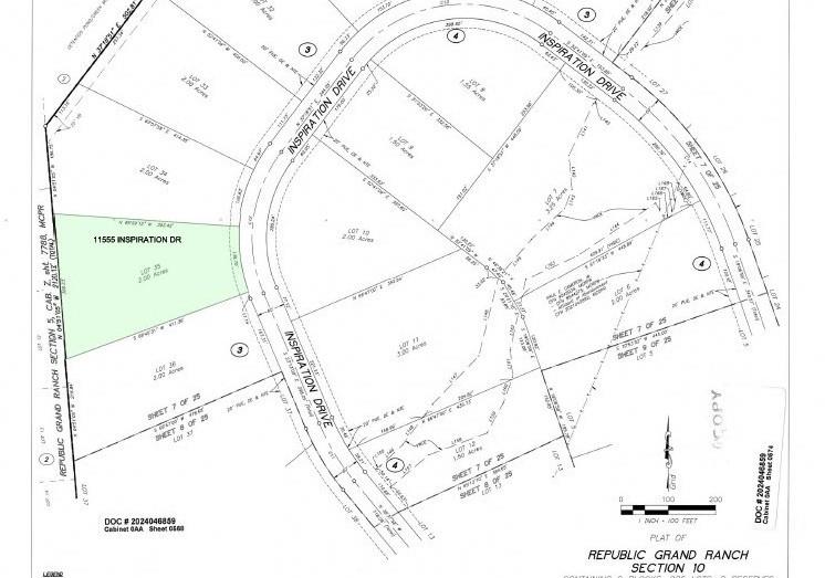
Get ready to build your dream home on this stunning 2-acre wooded homesite nestled w/in the highly sought-after acreage community of Republic Grand Ranch! As one of the flattest lots in this section, it also boasts some of the highest elevation - an exceptional opportunity you won’t want to miss! Surrounded by natural beauty, this property offers a serene, private setting while still being just 20 minutes from dining, shopping, & entertainment. Embrace a relaxed country lifestyle w/room for your animals - horses & chickens are welcome! (1 horse & 2 laying hens per acre) Community guidelines require a minimum home size of 2,000 sf & a minimum of 500 sf for accessory buildings, allowing you the flexibility to create your own perfect retreat. Neighborhood amenities feature a 37-acre park that includes hiking trails, a pavilion, & a 7-acre stocked lake w/3 docks for fishing! Lot is not encumbered by pipeline easements & no VWDE's! LOW TAX RATE! LOW POA DUES @ $495 ANNUALLY! NO MUD TAXES!

Overview
  • MLS Number: 87936369
  • Type: Lots
  • Bedrooms: N/A
  • Bathrooms: N/A
  • Garages: N/A
  • Size: N/A
  • Land Size:
  • Year Built: N/A
Financial
Price:
$185,000
Price/SqFT:
$92,500.0
HOA Fee:
$495 Annually
Tax Rate:
1.6712 %
Est. Monthly:
$2,369 *
Tax Amount:
$3,092
Video Tour
Amenities and features
  • Wooded Lot
Property & Schools on Map
Floor plans / Dimensions / Descriptions
  • Lot Description:
    Subdivision,Wooded
    Water Sewer:
    Aerobic Required (not installed),Private Water System
    Cable:
    Available
    Phone:
    Available
    Electric:
    Electric Available
    Gas:
    Gas Available
    Road Surface:
    Asphalt
    Area Pool:
    No

Listed By:
Sarah Conway

Better Homes and Gardens Real Estate Gary Greene - Lake Conroe North

The data on this website relating to real estate for sale comes in part from the IDX Program of the Houston Association of REALTORS®. All information is believed accurate but not guaranteed. The properties displayed may not be all of the properties available through the IDX Program. Any use of this site other than by potential buyers or sellers is strictly prohibited.

© 2026 Houston Association of REALTORS®.

GET IN TOUCH
avatar
Welcome Home Real Estate