For Sale

$247,140

HIGHLIGHTS:
  • Active
  • $2,919/month
  • 27 DOM
  • 41 SqFT
Description

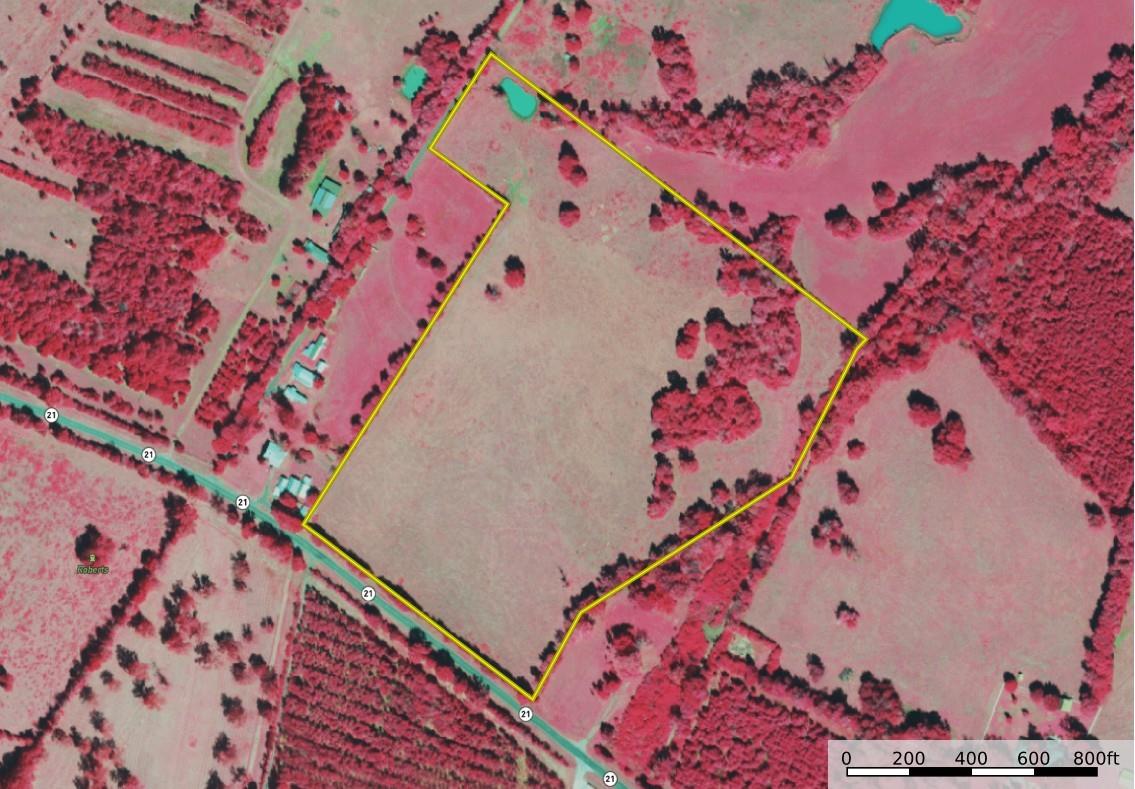
San Augustine Hilltop Farm! Approximately 41 acres in San Augustine County, Texas, with approximately 900 ft of frontage on SH 21. Located about 2.5 hours from downtown Houston, the property offers convenient access while maintaining a peaceful, country setting. The farm features over 40 ft of elevation change, with multiple hilltop build sites providing long range views. The land is mostly cleared and well maintained, with pockets of timber that add cover, diversity, and privacy. The property is perimeter fenced, allowing immediate grazing of horses and cattle. A pond is located in the NW corner of the property, providing a water source for cattle, deer, and other native wildlife that call this place home. The farm is currently leased for grazing/hay and provides income. This hilltop farm is very well suited for ag use, a homesite, or a combination ranch property. It is very close to Toledo Bend, and Sabine National Forest! Tracts like this one do not hit the market often!

Overview
  • MLS Number: 71625221
  • Type: Country Homes/Acreage
  • Bedrooms: N/A
  • Bathrooms: N/A
  • Garages: N/A
  • Size: N/A
  • Land Size:
  • Year Built: N/A
Financial
Price:
$247,140
Price/SqFT:
$6,027.8
HOA Fee:
Tax Rate:
1.24351 %
Est. Monthly:
$2,919 *
Tax Amount:
$3,073
Amenities and features
  • Controlled Subdivision
Property & Schools on Map
Floor plans / Dimensions / Descriptions
  • Private Pool:
    No
    Lot Description:
    Cleared
    Garage Carport:
    Driveway Gate
    Access:
    Driveway Gate
    Water Sewer:
    No Sewer,No Water
    Road Surface:
    Asphalt

Listed By:
Jakeb Pennington

Whitetail Properties Real Estate

The data on this website relating to real estate for sale comes in part from the IDX Program of the Houston Association of REALTORS®. All information is believed accurate but not guaranteed. The properties displayed may not be all of the properties available through the IDX Program. Any use of this site other than by potential buyers or sellers is strictly prohibited.

© 2026 Houston Association of REALTORS®.

GET IN TOUCH
avatar
Welcome Home Real Estate