For Sale

$450,000

HIGHLIGHTS:
  • Active
  • $6,121/month
  • 379 DOM
  • 23 SqFT
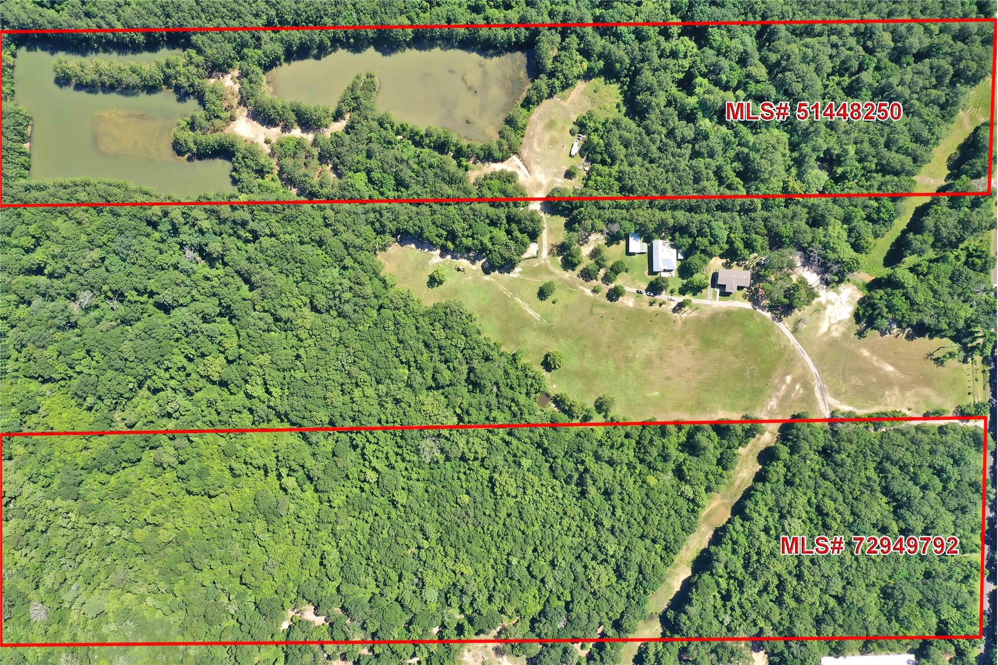
Description

LOOKING for a PIECE OF UNRESTRICTED PROPERTY? 22.317 ACRES TO DO AS YOU PLEASE. HORSE BARN AND HOUSES NEXT DOOR. Located between Porter and back of Kingwood on Hueni Rd off of Mills Branch Dr. PROPERTY IS LOCATED IN THE 100 YEAR FLOOD PLAIN. Zoned to Kingwood Schools. Available interest rate BUYdown so the buyer can get a lower rate with this property- Contact agent for details.

Overview
  • MLS Number: 41062170
  • Type: Country Homes/Acreage
  • Bedrooms: N/A
  • Bathrooms: N/A
  • Garages: N/A
  • Size: N/A
  • Land Size:
  • Year Built: N/A
Financial
Price:
$450,000
Price/SqFT:
$19,565.2
HOA Fee:
Tax Rate:
2.34068 %
Est. Monthly:
$6,121 *
Tax Amount:
$10,533
Amenities and features
  • Wooded Lot
Property & Schools on Map
Floor plans / Dimensions / Descriptions
  • Private Pool:
    No
    Lot Description:
    Wooded
    Water Sewer:
    No Sewer,No Water
    Road Surface:
    Asphalt
    Tree Description:
    Clusters,Densely Wooded

Listed By:
Thomas Saunders

RE/MAX Universal

The data on this website relating to real estate for sale comes in part from the IDX Program of the Houston Association of REALTORS®. All information is believed accurate but not guaranteed. The properties displayed may not be all of the properties available through the IDX Program. Any use of this site other than by potential buyers or sellers is strictly prohibited.

© 2026 Houston Association of REALTORS®.

GET IN TOUCH
avatar
Welcome Home Real Estate